Inscription Puce

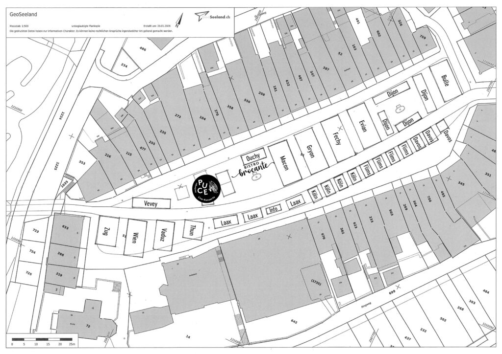
Secteur 1 : Place de la ville

Secteur 2 : pont en bois

Inscription au Puce
du 23 au 26 avril 2026

Place de la ville : nom du champ et lettre(s) (par exemple Aarau A et J)
Pont en bois : numéro suivi d'une lettre (par exemple 112A)

Prix des stands pour la durée du Puce

Secteur 1 : Place de la ville

Frais de base CHF 250.- + CHF 60.- par mètre linéaire
FlächeNormalEckstand vorneEckstand hinten
  + CHF 70.-+ CHF 50.-
2m x 4m320.-390.-370.-
3m x 4m380.-450.-430.-
4m x 4m440.-510.-490.-
5m x 4m500.-570.-550.-
6m x 4m560.-630.-610.-

Tente pliante (déjà montée) hors emplacement, 4,5 m x 3 m : 250.-

Secteur 2 : pont en bois (places couvertes)

Frais de base CHF 250.- + CHF 60.- par mètre linéaire

Pont en bois nord
Niche avec traverse, env. 3,8 m x 2 m400.-
Niche au-dessus de la traverse, env. 5 m x 2 m450.-
Pont en bois sud
Niche avec traverse, env. 3,8 m x 1,7 m350.-
Niche au-dessus de la traverse, env. 5 m x 1,7 m400.-

 

Stedtlileist Aarberg

Postfach 111
3270 Aarberg

© 2026 Visual Craft | Alle Rechte vorbehalten